ปะการังไฟที่เกาะลวี่เต่าลดลง กระทบต่อการวางไข่ของหมึกกระดอง
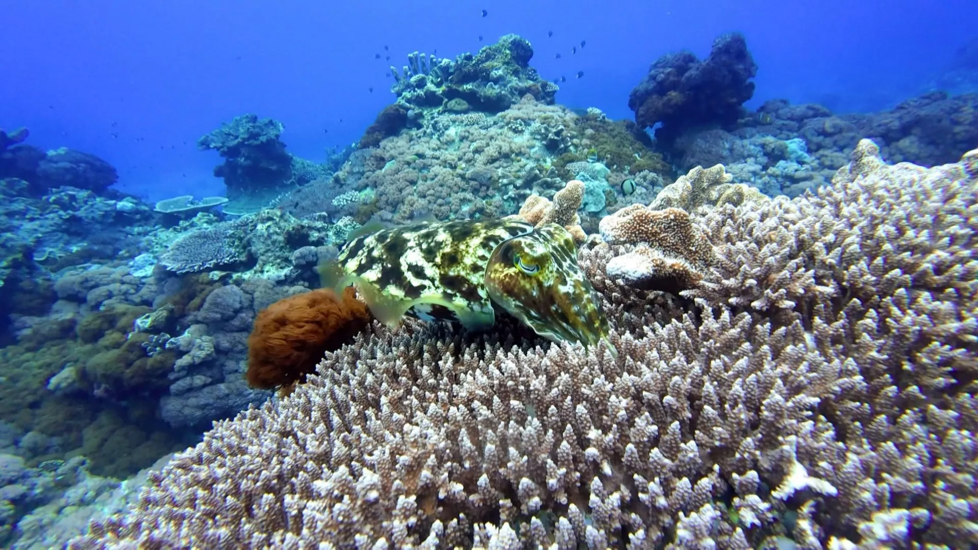
โดยปกติในช่วงต้นเดือนเมษายนของทุกปี จะเป็นฤดูวางไข่ของหมึกกระดอง ซึ่งแม่หมึกมักเลือกวางไข่ไว้ตามแนวปะการังไฟ เพราะพิษของมันสามารถช่วยปกป้องไข่หมึกได้ แต่ครูสอนดำน้ำพบว่าปีนี้ปะการังไฟที่เกาะลวี่เต่า เมืองไถตง มีจำนวนลดลง แม่หมึกจึงต้องเปลี่ยนไปวางไข่ในปะการังชนิดอื่นแทน ซึ่งมีความเสี่ยงสูงกว่า
หมึกกระดองกำลังตามหาป้อมปราการเพื่อวางไข่ ปะการังไฟเป็นทำเลที่ดีที่สุด เพราะพิษของมันสามารถช่วยปกป้องไข่หมึกได้ แต่ทว่าครูสอนดำน้ำพบว่าปีนี้ปะการังไฟที่เกาะลวี่เต่ามีจำนวนลดลง ทำให้หมึกกระดองต้องเปลี่ยนไปวางไข่ตามแนวปะการังเขากวางแทน ซึ่งมีความเสี่ยงสูงกว่า เนื่องจากหมึกกระดองเป็นสัตว์ที่สืบพันธุ์เพียงครั้งเดียว หลังผสมพันธุ์ระบบการทำงานของร่างกายจะเสื่อมถอยลงอย่างรวดเร็ว พวกมันจึงต้องรีบหาแหล่งอนุบาลที่ปลอดภัยให้ลูกๆ ก่อนสิ้นใจ เป็นเหตุให้ต้องเลือกปะการังชนิดอื่นแทน ส่วนสาเหตุที่ปะการังไฟในเกาะลวี่เต่าลดลงนั้น เบื้องต้นคาดว่าอาจเกี่ยวข้องกับพายุไต้ฝุ่นและการเปลี่ยนแปลงของอุณหภูมิน้ำทะเล
